
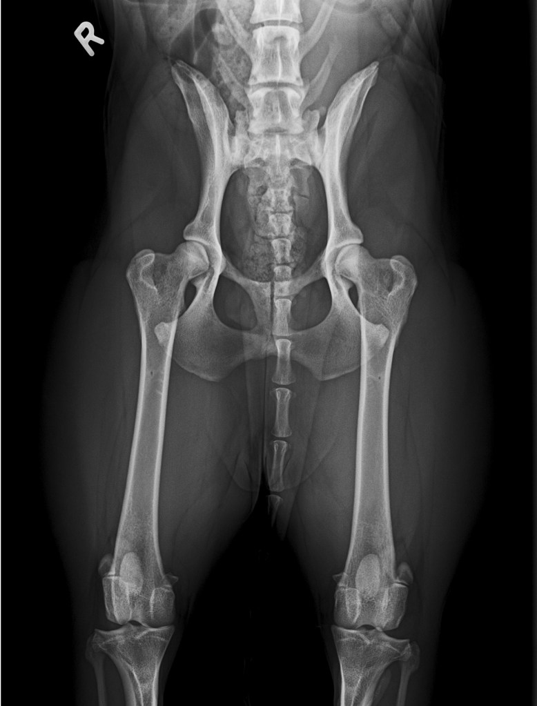
Röntgenergebnisse
HD: A/A ED: frei OCD Schulter: frei LS-ÜGW: 0 (frei)
weitere Untersuchungen
Patella-Lux: frei
Augen: inkl. Gonioskopie, alles neg. (also perfekt)
Blutuntersuchungen:
| Cone Degeneration (Labrador Retriever) – CD | WT/WT | frei (clear) |
| Degenerative Myelopathie (Klassische Variante) – DM | WT/WT | frei (clear) |
| Ehlers-Danlos Syndrom Variante 1 (Pudel) – EDS | WT/WT | frei (clear) |
| Elliptozytose (Labrador Retriever) – HE | WT/WT | frei (clear) |
| Exercise Induced Collapse – EIC | WT/WT | frei (clear) |
| Familiäre Nephropathie (Cocker Spaniel) – FN | WT/WT | frei (clear) |
| Gallenblasenmukozele – | WT/WT | frei (clear) |
| Gangliosidose GM2 (Pudel) – GM2 | WT/WT | frei (clear) |
| Glykogenspeicherkrankheit VII (English Springer Spaniel) – GSD VII | WT/WT | frei (clear) |
| Hereditäre Nasale Parakeratose (Labrador Retriever) – HNPK | WT/WT | frei (clear) |
| Hereditärer Katarakt – HC1 | WT/WT | frei (clear) |
| Hyperurikosurie – HUU | WT/WT | frei (clear) |
| Ichthyose 1 (Golden Retriever) – ICH-GR1 | WT/WT | frei (clear) |
| Kongenitales Myasthenes Syndrom (Labrador Retriever) – CMS | WT/WT | frei (clear) |
| Multidrug-Resistance 1 – MDR1 | WT/WT | frei (clear) |
| Myotubuläre Myopathie (Labrador Retriever) – MTM-XL | WT/WT | frei (clear) |
| Neonatale Enzephalopathie mit Krampfanfällen (Pudel) – NEWS | WT/WT | frei (clear) |
| Progressive Retinaatrophie 2 (Golden Retriever) – PRA-GR2 | WT/WT | frei (cear) |
| Progressive Retinaatrophie, Cone-Rod Dystrophie 4/cord1 – PRAcord1/ crd4 | WT/WT | frei (cear) |
| Progressive Retinaatrophie, Progressive Rod-Cone Degeneration – PRA-PRCD | WT/WT | frei (cear) |
| Progressive Retinaatrophie, Rod-cone Dysplasie 4 – PRA-rcd4 | WT/WT | frei (cear) |
| Pyruvatkinasedefizienz (Labrador Retriever) – PKDef | WT/WT | frei (cear) |
| Skeletale Dysplasie 2 – SD2 | WT/WT | frei (cear) |
| Von Willebrand Erkrankung I – vWD I | WT/WT | frei (cear) |
Zuchttauglichkeit: 12.11.2024